Обяви 0 За нас Контакти
Продава ПАРЦЕЛ
област Пловдив, гр. Стамболийски
816 200 €
1 596 348.45 лв.

(50 €, 97.79 лв./m2)
Цената е с включено ДДС
История на цената
Коригирана в 11:24 на 12 май, 2026 год.
Обявата е посетена 124 пъти.
Площ:
16324 m2
Регулация:
ДА

Описание на имота:


оферта 1778
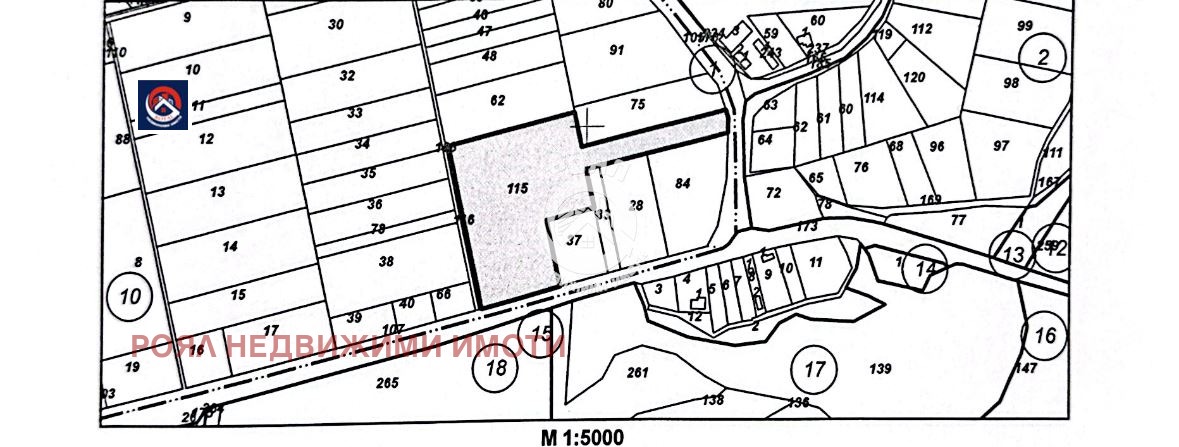
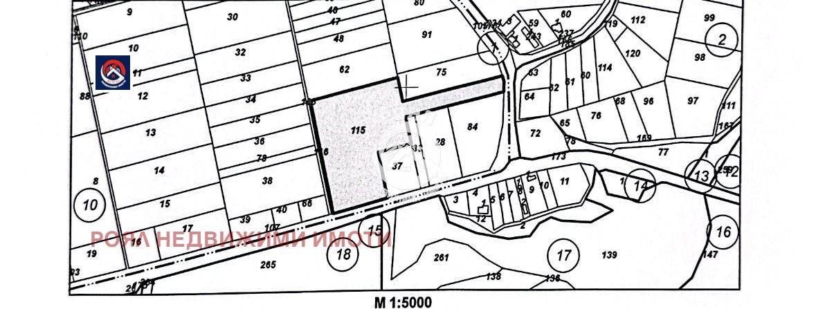
Роял имоти продава парцел - УПИ, с лице на главния път, на 11 км от Пловдив, в град Стамболийски.
В регулация, с готов проект за 16бр къщи и сграда с апартаменти и проект за хотелски комплекс с аквапарк с по 2 паркоместа за всеки имот. Също така е подходящ и за фотоволтаичен парк или складови помещения, логистика, фолтоволтаични системи.

Имотът има 75 метра лице на главен път.

РОЯЛ Имоти като регистриран кредитен посредник предоставя безплатни консултации за ипотечно кредитиране и много други видове банкови услуги. Агенцията е с вас до пълното финализиране на сделката и предлага пълно съдействие при подготовката на документите, проверка за тежести, изготвяна на оценка на имота и други правни становища.
С нас ще спестите време, средства и ще изберете банката с най-изгодна за вас оферта.
За контакт:
0879944348
Агенция:
РОЯЛ НЕДВИЖИМИ ИМОТИ
0879944348
РОЯЛ НЕДВИЖИМИ ИМОТИ logo
Медал за прослужено време
В imot.bg от 2022 г.
royallbg.imot.bg
Адрес:
област Пловдив, гр. Пловдив, Коматевско шосе 84
http://www.royall.bg
ИЗПРАТИ ЗАПИТВАНЕ
ИЗПРАТИ ЗАПИТВАНЕТО

Продава ПАРЦЕЛ
област Пловдив, гр. Стамболийски
Обява: 1r169833061452176

816 200 €
1 596 348.45 лв.
История на цената
(50 €, 97.79 лв./m2)

Цената е с включено ДДС
ЗАПАЗИ ОБЯВАТА

Местоположение: област Пловдив, гр. Стамболийски